화살나무속 식물들도 꽤나 많네요.
한번 살펴보도록 하겠습니다.
2022년 국가표준식물목록(국표식)에서는 버들회나무와
좁은잎참빗살나무를 좀참빗살나무의 이명으로 처리를
했고 당회잎나무는 화살나무의 이명으로 처리를 했습니다.
▼ 회나무

꽃차례가 8~15cm로 아래로 길게 늘어집니다.

꽃잎이 5개이며 꽃잎 밑부분이 좁아 그 사이로 꽃받침이
드러나 보입니다.
국생지에서는 꽃 색이 자주색이라고 하고 있는데 자료에
따라서는 흑자색, 연녹색, 백색 등등으로 제각각 다르게
기술하고 있네요.
아래 두 사진을 보니 흑자색은 절대 아니고 연녹색 바탕에
자줏빛이 돈다는 정도로 표현하면 될 듯싶습니다.

참회나무와 더불어 꽃밥은 1실입니다.
참빗살나무, 화살나무, 회잎나무 등은 꽃밥이 2실이지요.


암술대와 수술대는 거의 없습니다.

잎은 난상 긴 타원형, 타원형 또는 도란형이고 가장자리에는
둔한 잔톱니가 있습니다.


잎 양면에 털이 없습니다.


열매에 5개의 날개가 있고 붉은색으로 익습니다.

종자가 붉은색으로 보이지만 그건 가종피 또는 종의이고
그 안에 있는 실제 종자는 검은색입니다.
*** 가종피(假種皮) = 종의(種衣) : 겉으로는 보통의 과피와
같으나 수정 후 태(胎) 자리나 주병(珠柄)이 비대해져서 씨를
싸게 된 과피. 사철나무의 열매, 주목의 열매 따위에 있다.
(네이버사전)

▼ 참회나무


꽃차례는 6-8cm로 8~15cm인 회나무보다는 짧지만
그래도 긴 편입니다.



회나무처럼 꽃잎이 5장인데 꽃받침이 드러나 보이지
않는다는 점이 회나무와 다르다고 하는데 항상 그런
건 아닌 듯싶습니다.
한 자료에서는 꽃 색에 대해 연녹색 또는 백색으로
뚜렷한 자주색 반점이 있다고 설명하고 있네요.
회나무와 마찬가지로 암술대와 수술대는 거의 없습니다.

잎은 난형 또는 도란형입니다.

회나무와 달리 잎가장자리에 있는 톱니가 안으로 굽고 그
끝이 뾰족합니다.
잎의 형태는 변이가 있는 것으로 보이므로 잎의 형태보다는
이 톱니 형태가 회나무와 참회나무를 구분해주는 주요 동정
포인트가 아닐까 싶습니다.
물론 열매가 없을 때 얘기지요.

잎 양면에는 털이 거의 없습니다.




회나무와 달리 열매에는 날개가 전혀 없고 5개의 능선이
있습니다..

열매는 붉은색이고 익으면 5개로 갈라집니다.

회나무처럼 종자는 검은색인데 붉은색 가종피로 싸여 있습니다.

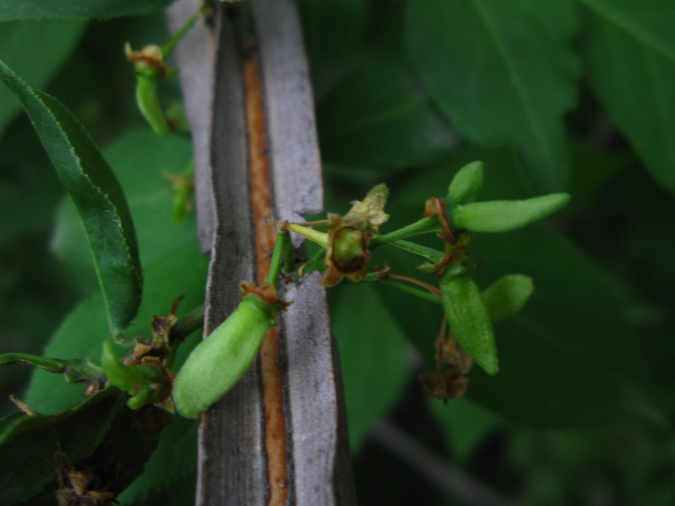
▼ 참빗살나무
유사한 회잎나무는 관목인데 비해 참빗살나무는 소교목입니다.

꽃차례가 3-6cm로 회나무나 참회나무보다 짧아 밑으로
늘어지지 않네요.


꽃은 전년지 잎겨드랑이에 달리는데 간혹 새가지 절간에
달리기도 합니다.
*** 절간(節間) : 식물의 줄기에서, 잎이 달려 있는 마디와
마디의 사이. (네이버 사전)
자료에 언급은 없지만 그간 찍었던 사진을 살펴보니
회나무와 참회나무, 나래회나무는 잎겨드랑이에만 꽃차례가
달려 있고 참빗살나무,화살나무, 회잎나무 등은 새가지
절간에도 같이 달려 있는 것으로 보입니다.


꽃이 3~12개씩 달립니다.

꽃은 연녹색입니다.

회나무나 참회나무와 달리 꽃잎이 4장입니다.
오래된 한 도감에 나와 있는 검색표를 보니 참빗살나무는
회나무나 참회나무와는 달리 꽃밥이 2실이라고 하는데
아래 사진에서 그 점이 확인됩니다.
참고로 아래에 그 검색표를 전재합니다.
열매 1~3개의 분과 ----------------------------- 화살나무
열매 분과를 이루지 않음
잎 상록성 ------------------------------------ 사철나무, 줄사철나무
잎 낙엽성
꽃밥 2실
가지 평활, 열매에 날개 없음 -------- 참빗살나무
가지에 잔돌기, 열매에 4개의 날개 --- 회목나무
꽃밥 1실
열매에 날개 없음 --------------------- 참회나무
열매에 날개 있음 --------------------- 나래회나무

잎은 타원형 또는 난상 타원형이고 가장자리에 고르지 않은
둔한 잔 톱니가 있으며 잎자루는 7mm로 아주 짧습니다.

자료들에서는 잎 양면 털에 대해 언급하고 있지 않은데 아래
사진에서 보니 양면에 짧은 털이 꽤 많네요.


가지는 평활합니다.

열매에 4개의 능선이 있습니다.

보기에 따라서는 열매에 있는 돌출된 부위를 낮은
날개라고 표현할 수도 있는데 자료들에서는 그렇게
표현하지 않고 그냥 능선이라고 표현하고 있네요.

열매는 분홍색으로 익고 종자는 검은색으로 붉은색
종의에 싸여 있습니다.

▼ 좁은잎참빗살나무 --> 좀참빗살나무
2022년 국표식에서는 이전의 좁은잎참빗살나무의 학명인
"Euonymus hamiltonianus var. maackii (Rupr.) Kom."를
좀참빗살나무의 학명으로 채택했고 이전의 좀참빗살나무의
학명이었던 "Euonymus bungeanus Maxim."는 오히려
"Euonymus hamiltonianus var. maackii (Rupr.) Kom."의
이명으로 처리하였습니다.
이전의 좀참빗살나무와는 꽃 색이나 꽃밥 색, 잎의 질감
등에서 차이가 많이 나는 것 같아 보여 좁은잎참빗살나무를
좀참빗살나무와 통합시키는 게 개인적으로는 좀 어색합니다.



꽃이 황백색이고 꽃밥이 자주색이라서 참빗살나무와는
확연히 구분이 됩니다.


참빗살나무와는 달리 꽃술, 특히 암술대 길이가 꽤 긴
편이네요.


"잎은 긴 타원 모양이고 엽병의 길이 5-8㎜"라는 게
국생지의 설명입니다.




▼ 좀참빗살나무
상기 좁은잎참빗살나무에서 설명한 대로 이전의
좀참빗살나무는 이제 이전의 좁은잎참빗살나무의
이명이 되었습니다.
그러니 이제부터는 이전의 좁은잎참빗살나무를
좀참빗살나무로 보면 되니까 욘석, 즉 이전의
좀참빗살나무는 단지 참고만 하면 될 것 같습니다.
제주도 및 전남 백양산 등지에 자생한다고 합니다.
참빗살나무는 잎이 타원형 또는 난상 타원형이고
잎자루는 길이가 7mm인데 비해 좀참빗살나무는
잎이 넓은 타원형이며 잎자루가 8-25㎜인 점이 다릅니다.
즉, 좀참빗살나무의 잎자루가 참빗살나무에 비해 좀더
길다는 얘기지요.
아래는 차례대로 참빗살나무와 좀참빗살나무의 잎
사진입니다.
후자의 잎자루가 확실히 길다는 걸 확인할 수 있습니다.
참빗살나무는 잎 길이가 5 ~ 15cm이고 좀참빗살나무는
3~10mm인데 잎 크기가 상대적으로 작아서 "좀"이란
말이 붙은 건 아닌가 추측해 봅니다.


열매는 아래처럼 생겼습니다.

▼ 버들회나무 --> 좀참빗살나무
이전에는 좁은잎참빗살나무와 유사하면서 잎이 긴
타원형이었던 것을 버들회나무로 따로 분류했었는데
2022년 국표식에서는 욘석을 좀참빗살나무에
통합시켰네요.
▼ 나래회나무
참빗살나무처럼 꽃잎은 4장인데 꽃차례가 길어
밑으로 처지는 점이 다릅니다..


꽃은 녹색입니다.



잎은 도란형 또는 도란상 긴 타원형입니다.




열매에는 4개의 긴 날개가 있다는 점이 참빗살나무와
다릅니다.


열매는 붉은색으로 익으며 종자는 검은색으로 황적색
종의에 싸여 있습니다.


▼ 화살나무
꽃잎은 4장으로 참빗살나무나 나래회나무와 같지만
줄기와 가지에 코르크 질의 날개가 있어 쉽게 구분이
됩니다.

꽃이 잎겨드랑이뿐만 아니라 새가지 절간에도 달려
있습니다.






꽃밥은 참빗살나무처럼 2실인 것 같습니다.


잎은 잎자루가 짧고, 타원형 또는 도란형이며, 가장자리에
예리한 잔 톱니가 있습니다.

잎 양면에는 털이 없습니다.


줄기와 가지에 2~4줄의 코르크 질 날개가 있습니다.

익기 전의 열매 모습은 아래와 같습니다.
위에 언급한 회나무 종류들과는 달리 열매가 길쭉하네요.


열매는 붉게 익는데 그 안에 1~2개의 종자가 들어 있습니다.
관찰 결과 위에 나온 회나무 종류들은 능선이나 날개 수만큼
종자가 들어 있는 것 같은데 화살나무는 그렇지 않은 것으로
보입니다.
여하튼 열매는 붉은색으로 익는데 종자는 붉은색 종의로
싸여 있기는 하지만 위에서 언급한 회나무 종류들과는 달리
검은색이 아니라 흰색이라고 합니다.
종의는 벗겨 본 적이 없어서 종의 안의 종자가 흰색인지는
확인해 보지 못했네요.

▼ 털화살나무
잎 뒷면에 털이 있고 특히 맥 위에 털이 많다는 점을
제외하고는 화살나무와 같습니다.









▼ 회잎나무
화살나무와 같으나 가지에 날개가 없는 것을 회잎나무라
합니다.
가지에 날개가 없고 꽃이나 꽃차례 모습이 참빗살나무와
유사해 무척 혼동됩니다.

우선 참빗살나무는 소교목이고 회잎나무는 관목이라는
점이 다릅니다.

어린가지는 녹색이라고 하는데 아래 사진을 보니
처음에는 갈색이었다가 점차 녹색으로 변하는 것으로
보입니다.
관찰 결과 참빗살나무는 어린가지가 녹색으로 변하지
않는 것으로 보입니다.

꽃차례가 전년지 잎겨드랑이나 새가지 절간에서 나오는
건 참빗살나무와 동일합니다.

참빗살나무는 꽃차례당 꽃이 3 ~ 12개씩 달리는데 비해
회잎나무는 보통 3개씩 달립니다. (2~5개)

자료에 설명은 없지만 이전에 찍었던 사진들을 보니
꽃밥이 참빗살나무처럼 2실인 것으로 보입니다.


암술대는 긴 것과 짧은 것이 공존하는 것 같네요.

잎은 타원형 또는 도란형이며, 가장자리에 예리한
잔 톱니가 있고 뒷면은 회록색입니다.
잎 양면에 털이 없고요.


참빗살나무는 가지가 평활한데 회잎나무는 가지에
사마귀 같은 돌기가 있다는 점이 다릅니다.


열매는 화살나무와 같습니다.
즉, 붉은색으로 익고 그 안에 붉은색 종의에 싸인 흰색의
종자가 있다는 말이지요.
참빗살나무는 종의 안의 종자가 검은색이라서 열매만
있다면 참빗살나무와 회잎나무를 구분하기가 쉽겠네요.

결론적으로 회잎나무와 참빗살나무를 구분하기 위해서는
가장 먼저 달리는 꽃이 개수를 확인하고 그 다음에
꽃차례의 위치, 어린가지의 색, 나무의 형태, 가지의 돌기
유무 등을 참조하면 될 것 같습니다.
▼ 당회잎나무 --> 화살나무
화살나무에 비해 가지에 날개가 없고, 회잎나무에 비해
잎 뒷면에 털이 있다는 점이 달라서 이전에는 따로
분류했었는데 2022년 국표식에서는 이를 화살나무의
이명으로 처리했습니다.
이전의 당회잎나무 학명인 "Euonymus alatus f. apterus
Rehder"이 분명히 화살나무의 이명으로 처리가 되어
있는데 가지에 날개가 없으니 회잎나무의 이명으로
처리하든가 아니면 잎 뒷면에 털이 있으니 털화살나무의
이명으로 처리하는 게 자연스러울 텐데 왜 하필 화살나무에
통합시켰는지 그 사유가 궁금합니다.
참고로 털화살나무를 화살나무의 이명으로 처리한 자료도
있기는 합니다.
개인적으로는 뭔가 좀 정리가 덜 된 느낌이 드네요.







▼ 사철나무
우리나라 중부 이남에서 자랍니다.



꽃은 연한 황록색이고 잎겨드랑이의 취산꽃차례에
달립니다.





잎은 마주나며 가죽질이고 도란형 또는 긴 타원형이며
가장자리에 둔한 톱니가 있습니다.
잎 앞면은 짙은 녹색으로 윤이 나며, 뒷면은 노란빛이
도는 녹색입니다.


???

열매는 삭과이며 둥글고 붉게 익으면 4개로 갈라져서
그 안에서 황적색 종의로 싸인 종자가 나오는데 종자는
흰색입니다.






▼ 좀사철나무
좀사철나무와 줄사철나무를 같은 것으로 보기도 하는데
2022년 국표식에서는 이 둘을 따로 구분해 놓았네요.
자료들 내용이 애매모호해서 사철나와 좀사철나무,
줄사철나무 간의 명확한 동정 포인트가 뭔지 모르겠습니다.
나름대로 조사한 내용을 아래와 같이 정리해 보기는 하는데
이 표가 몇몇 자료들 내용을 종합한 것이라서 정확도는 자신
없습니다.
| 구 분 | 수형 | 기근 | 꽃차례 위치 | 종자 | 가지 표면 | 서식지 |
| 사철나무 | 관목 | 없음 | 잎겨드랑이 | 흰색 | 매끈 | |
| 좀사철나무 | 관목, 간혹 덩굴성 | 잎겨드랑이, 금년지 절간 | 검은색? | 유두형 돌기 밀생 | 바닷가 | |
| 줄사철나무 | 덩굴성 | 발달 | 잎겨드랑이 | 뚜렷하지 않은 돌기 밀생 | 내륙 산지 |
요컨대 좀사철나무는 사철나무에 비해 간혹 덩굴성을
보이며 가지에 유두형 돌기가 밀생한다는 점이 다르다고
보면 될 것 같습니다.
한 자료에 좀사철나무는 종자가 검은색이라고 하는데
맞는지 모르겠습니다.
▼ 줄사철나무
내륙 산지에서 자라며 덩굴성이고 줄기에 공기뿌리가
발달한다는 점이 사철나무나 좀사철나무와 다릅니다.
아래 사진은 2007년도에 어디선가 찍은 겁니다.
덩굴성입니다.



가지에 뚜렷하지 않은 돌기가 있습니다.






줄기에 공기뿌리가 발달합니다.

▼ 섬회나무
우리나라 경상남도, 전라남도 거문도 등지에 자생합니다.
사철나무에 비해 어린가지와 열매에 4개의 능선이 있고,
수술은 매우 짧으며, 열매가 크다는 점이 다릅니다.
잎은 타원형이고 위쪽에 낮고 둔한 톱니가 있으며 열매는
연한 황갈색으로 익습니다.
열매에 4개의 능선이 있습니다.

꽃은 녹백색이고 수술대가 매우 짧습니다.

▼ 회목나무
꽃은 잎겨드랑이에서 나온 꽃대에 1~3개가 모여
취산꽃차례를 이루는데 적갈색 꽃이 잎 주맥 위에
놓여 있어 쉽게 알아볼 수 있습니다.









열매는 도삼각형이고 붉은색으로 익습니다.




▼ 백두산회나무
2013년 식물분류학회지 43권 3호에 실린 논문
"화살나무속(노박덩굴과)의 신종: 백두산회나무
(Euonymus baekdusanensis M. Kim)"에서 소개된
신종입니다.
적 요: 백두산에서 화살나무속의 신종인 백두산회나무(Euonymus baekdusanensis M. Kim)를 새로이 발견하 여 기재하였다. 백두산회나무는 4수성 꽃구조를 가지고 4개로 각이 진 삭과를 가지며 사마귀 같은 혹이 가지 와 소지에 있어 회목나무(E. verrucosus Scopoli)와 유사하다. 그러나 백두산회나무는 커다란 장타원형의 잎 (11-13 cm)을 가지고 엽병이 뚜렷하며(6-8 mm) 과실이 대형(12-15 mm)인 반면에, 회목나무는 작은 도란형의 잎(6-7 cm)을 가지고 엽병이 거의 없으며(1-2 mm) 과실이 소형(6-8 mm)인 점에서 두 종이 뚜렷하게 차이가 난다.

'식물 > 갤러리-풀꽃나무' 카테고리의 다른 글
| 소사나무 암꽃과 수꽃 (0) | 2023.04.25 |
|---|---|
| 골담초 (0) | 2023.04.24 |
| 당회잎나무 --> 화살나무 (0) | 2023.04.24 |
| 잔털벚나무 (0) | 2023.04.24 |
| 팽나무 (0) | 2023.04.24 |
댓글